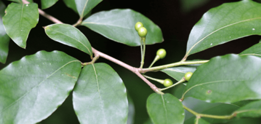
감태나무는 연구를 통해 그 효능이 재조명되고 있습니다. 갑상선 기능 지원부터 체중 관리, 당뇨병 위험 감소, 항암 효과에 이르기까지, 감태나무가 제공하는 건강상의 이점은 다양합니다. 이 글에서는 감태나무의 놀라운 효능에 대해 자세히 알아보겠습니다.

감태나무 효능
1. 풍부한 영양소
감태나무는 비타민 A, C, E, K를 비롯하여 미네랄, 항산화제, 섬유질 등 다양한 영양소를 함유하고 있습니다. 이러한 영양소들은 건강한 신체 기능 유지에 필수적이며, 면역 체계를 강화하고, 질병으로부터 보호하는 데 중요한 역할을 합니다. 특히, 섬유질과 비타민의 높은 함량은 소화 건강을 지원하고, 피부 건강을 개선하는 데 도움을 줍니다.
2. 갑상선 기능 지원
감태나무 효능은 갑상선 건강을 유지하는 데 필수적인 요오드를 풍부하게 함유하고 있습니다. 갑상선은 호르몬을 생산하여 신체의 대사율을 조절하는 중요한 기관입니다. 요오드 부족은 갑상선 기능 저하와 관련된 다양한 건강 문제를 초래할 수 있으므로, 감태나무를 통한 요오드 섭취는 갑상선 건강을 지원하는 데 매우 중요합니다.
3. 소화 건강 증진
감태나무는 높은 섬유질 함량으로 인해 소화 건강을 증진시키는 데 유익합니다. 섬유질은 장내장 내 환경을 개선하고, 장 운동을 촉진하여 변비를 예방합니다. 또한, 건강한 장내 미생물 균형을 유지하는 데 도움을 주어 소화 건강에 기여합니다.
4. 체중 관리
감태나무의 낮은 칼로리와 높은 섬유질 함량은 체중 관리에 도움을 줍니다. 섬유질은 포만감을 유지하여 과식을 방지하고, 식사 후 혈당 상승을 완만하게 하여 체중 증가의 위험을 감소시킵니다.
5. 당뇨병 위험 감소
감태나무 효능의 섬유질은 혈당 조절에 도움을 줄 수 있습니다. 섬유질은 소화가 느리게 진행되어 식사 후 혈당이 급격히 상승하는 것을 방지하며, 이는 당뇨병 관리 및 예방에 유익할 수 있습니다.
6. 항암 효과
감태나무에 함유된 특정 항산화제와 화합물은 암세포의 성장을 억제하고, 암으로 인한 손상을 방지하는 데 도움을 줄 수 있습니다. 특히, 유방암 및 대장암과 같은 특정 암의 위험을 감소시키는 데 도움이 될 수 있다는 연구 결과가 있습니다. 이러한 항산화제는 신체의 산화 스트레스를 줄이고, DNA 손상을 방지하여 암 발생 위험을 낮출 수 있습니다.
7. 심혈관 건강 증진
감태나무 효능은 심혈관 건강을 증진시키는 데 도움을 줄 수 있는 섬유질과 항산화제를 포함하고 있습니다. 이러한 영양소는 혈액 순환을 개선하고, 나쁜 LDL 콜레스테롤 수치를 감소시키며, 혈관의 탄력성을 유지하는 데 기여합니다. 결과적으로, 심장 질환의 위험을 감소시킬 수 있습니다.
8. 피부 건강 개선
감태나무는 비타민 A, C, E 등의 항산화 비타민을 함유하고 있으며, 이러한 비타민들은 피부 건강을 개선하고 노화 방지에 도움을 줄 수 있습니다. 항산화제는 피부 세포를 자유 라디칼로부터 보호하고, 피부의 탄력성을 유지하는 데 중요한 역할을 합니다.
9. 면역 체계 강화
감태나무 효능의 영양소, 특히 비타민 C와 E는 면역 체계를 강화하는 데 기여할 수 있습니다. 이 비타민들은 면역 세포의 기능을 지원하고, 감염에 대한 신체의 저항력을 높이는 데 도움을 줍니다. 건강한 면역 체계는 다양한 질병으로부터 보호합니다.
타히보 효능 11가지 알아보기
타히보(Taheebo)는 남미에서 자생하는 나무의 껍질로 만들어진 차입니다. 이 나무는 파우 다르코(Pau d'Arco)라고도 불리며, 수세기 동안 전통 의학에서 다양한 질병을 치료하는 데 사용되어 왔습니
nocom2000.co.kr
10. 염증 감소
감태나무에 포함된 항염증 성분은 염증을 줄이고, 염증 관련 질환의 증상을 완화하는 데 도움을 줄 수 있습니다. 만성 염증은 다양한 건강 문제와 연관되어 있으며, 감태나무의 항염증 효과는 관절염, 심혈관 질환 등의 위험을 감소시키는 데 기여할 수 있습니다.
감태나무는 이처럼 다양한 건강상의 이점을 제공하는 탁월한 식품입니다. 그러나 감태나무의 섭취량에 주의해야 하며, 특정 건강 상태를 가진 경우나 요오드 과다 섭취가 우려되는 경우에는 의료 전문가와 상담하는 것이 좋습니다. 이상으로 감태나무 효능에 대해 살펴보았습니다.
댓글